Здание, нежилое (офис), Площадь 16 м2 и Земельный участок, вид использования: под размещение торгового павильона по продаже запасных частей для грузовых машин, Площадь 4161 кв2.
Лот № 30692
Текущая цена:
5 278 724,95
Начальная цена:
5 865 249,94
Статус:
Завершенные
Тип:
Аукцион
Регион:
Дата и время начала подачи заявок:
20 Сентября 2025 09:00:00
Дата и время окончания подачи заявок:
27 Октября 2025 23:59:00
Начало приема ценовых предложений (торгов):
28 Октября 2025 12:00:00
ЭТП:
Межрегиональная Электронная Торговая Система
Номер дела в судебной инстанции:
Доступно при оплаченном тарифе
Наименование суда:
Арбитражный суд Московской области
Описание
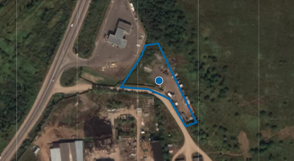
Здание, нежилое, кадастровый номер 50:01:0000000:10670, расположенное по адресу: Московская обл, г. Талдом, ул. Кустарная, 98, Площадь 16 м2 и
Земельный участок, кадастровый номер 50:01:0031211:31, вид использования: под размещение торгового павильона по продаже запасных частей для грузовых машин расположенный по адресу: почт. адрес ориентира Московская обл,, р-н Талдомский, г. Талдом. Площадь 4161 кв2. Порядок ознакомления с имуществом должника: по месту его нахождения
Порядок ознакомления с лотом
Доступно при оплаченном тарифе
Адрес
Адрес:
г. Талдом, ул. Кустарная, 98
Кадастровый номер:
Должник
Доступно при оплаченном тарифе
Арбитражный управляющий
Доступно при оплаченном тарифе
Организатор торгов
Доступно при оплаченном тарифе
Документы
Доступно при оплаченном тарифе
